鳳凰放慢要轉彎了 最快今傍晚海警、明陸警

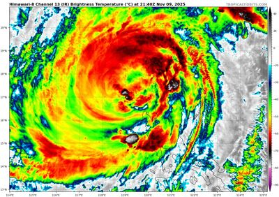
鳳凰放慢要轉彎了!中度颱風鳳凰來勢洶洶,中央氣象署預報員黃恩鴻表示,預計今天傍晚到晚間發布海上警報機率最高,周二上半天發布陸上警報機率最高,最靠近台灣時強度明顯減弱,可能變輕颱,颱風中心周三晚間有機會登陸中南部。 《詳全文...》

鳳凰放慢要轉彎了!中度颱風鳳凰來勢洶洶,中央氣象署預報員黃恩鴻表示,預計今天傍晚到晚間發布海上警報機率最高,周二上半天發布陸上警報機率最高,最靠近台灣時強度明顯減弱,可能變輕颱,颱風中心周三晚間有機會登陸中南部。 《詳全文...》