Stack News 群眾新聞
文章列表
登入/註冊
關於我們
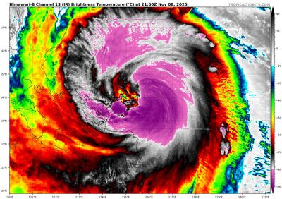
今晚變天! 鳳凰「共伴效應」最劇時間曝
今晚變天!中度颱風鳳凰進逼,氣象專家吳德榮提醒,周二、周三鳳凰的「共伴效應」最劇烈,北部及東半部有發生大量致災雨的潛勢。
《詳全文...》
媒體來源:ETtoday - 2025-11-09 06:30:00 (69 天前)
分數:
-
| 正評
0
| 負評
0
|