Stack News 群眾新聞
文章列表
登入/註冊
關於我們
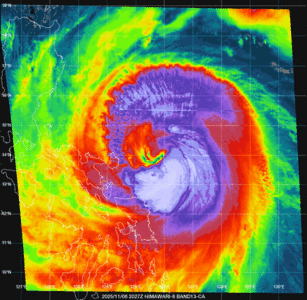
鳳凰「今將變強颱」達顛峰 最快發海陸警報時間曝
中度颱風鳳凰來勢洶洶,中央氣象署預報員賴欣國表示,鳳凰今天有可能變強烈颱風,也是它強度最強時;預估最快周一發海上警報、周二發陸上警報,登陸機率較高,周三晚間到周四最接近。
《詳全文...》
媒體來源:ETtoday - 2025-11-09 06:08:00 (69 天前)
分數:
-
| 正評
0
| 負評
0
|