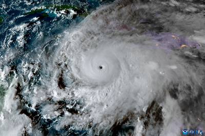
「怪物梅麗莎」爆發睜眼 牙買加下令大規模疏散:可能危及性命

梅麗莎(Melissa)颶風暴風增強為5級颶風,且以接近人類步行的速度緩慢地移動,即將侵襲牙買加,預估其暴風圈將帶來致災性洪水、山崩與危及生命的破壞力,可能成為自有史以來侵襲該島最強的颶風,當地已經發布大規模「強制疏散令」。
《詳全文...》

梅麗莎(Melissa)颶風暴風增強為5級颶風,且以接近人類步行的速度緩慢地移動,即將侵襲牙買加,預估其暴風圈將帶來致災性洪水、山崩與危及生命的破壞力,可能成為自有史以來侵襲該島最強的颶風,當地已經發布大規模「強制疏散令」。 《詳全文...》