Stack News 群眾新聞
文章列表
登入/註冊
關於我們
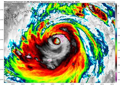
快訊/樺加沙一路往西! 最新動向曝
中央氣象署持續發布強烈颱風樺加沙海上陸上警報,氣象署預計今天上午8時半解除陸上警報。氣象署預報中心簡任技正伍婉華提醒,今颱風逐漸向西移動,白天降雨型態還是持續。
《詳全文...》
媒體來源:ETtoday - 2025-09-23 07:10:00 (45 天前)
分數:
-
| 正評
0
| 負評
0
|