樺加沙重整再飆風!最近台一條紫轟雨 花蓮「超大豪雨」警戒

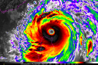
中央氣象署持續針對強颱「樺加沙」(Ragasa)發布海陸警報,預報中心科長林伯東表示,目前颱風中心位置在鵝鑾鼻南方約270公里海面上,也就是說,目前是它最接近台灣的時刻,特別提醒,花蓮縣未來24小時降雨有可能達到超大豪雨標準,花蓮縣已經列入「降雨警戒」範圍。
《詳全文...》

中央氣象署持續針對強颱「樺加沙」(Ragasa)發布海陸警報,預報中心科長林伯東表示,目前颱風中心位置在鵝鑾鼻南方約270公里海面上,也就是說,目前是它最接近台灣的時刻,特別提醒,花蓮縣未來24小時降雨有可能達到超大豪雨標準,花蓮縣已經列入「降雨警戒」範圍。 《詳全文...》