超大樺加沙穩居風王 最新各國路徑一致了

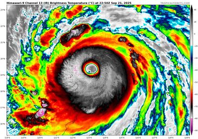
氣象專家吳德榮提醒,樺加沙為大型強颱,已穩居今年的「風王」,颱風中心即使不登陸,颱風及外圍環流與地形的交互作用,仍將帶來強風及致災豪雨的威脅,絕不可小覷。而最新各國官方預報路徑也幾乎一致了,都是經過巴士海峽進入南海。 《詳全文...》

氣象專家吳德榮提醒,樺加沙為大型強颱,已穩居今年的「風王」,颱風中心即使不登陸,颱風及外圍環流與地形的交互作用,仍將帶來強風及致災豪雨的威脅,絕不可小覷。而最新各國官方預報路徑也幾乎一致了,都是經過巴士海峽進入南海。 《詳全文...》