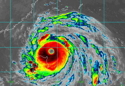
「怪物等級」樺加沙! 降雨更兇猛時間曝

氣象專家吳聖宇表示,所幸這種「怪物等級」的樺加沙颱風並不會直撲台灣,今天晚間到周二白天當颱風經過恆春以南,逐漸往南海東北部移動的時候,可能會比颱風前半段過程的降雨更為兇猛,持續時間也更長。 《詳全文...》

氣象專家吳聖宇表示,所幸這種「怪物等級」的樺加沙颱風並不會直撲台灣,今天晚間到周二白天當颱風經過恆春以南,逐漸往南海東北部移動的時候,可能會比颱風前半段過程的降雨更為兇猛,持續時間也更長。 《詳全文...》