完美超級颱風!樺加沙暴肥到顛峰 各國上修風速「最近台時最強大」

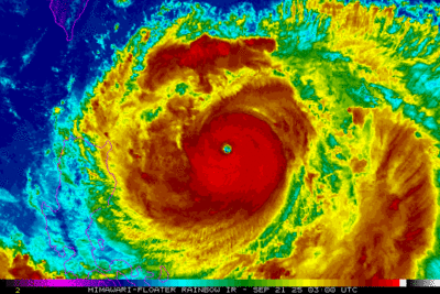
中央氣象署今(21日)晚最新觀測,18號強颱風「樺加沙」再度增強,近中心最大風速上升到每秒55公尺,瞬間最大陣風也增強至每秒68公尺(約時速245公里),7級暴風半徑維持320公里,10級暴風半徑達150公里。各國分析也一致,將樺加沙的風速上調,陣風增強到時速270公里。
《詳全文...》

中央氣象署今(21日)晚最新觀測,18號強颱風「樺加沙」再度增強,近中心最大風速上升到每秒55公尺,瞬間最大陣風也增強至每秒68公尺(約時速245公里),7級暴風半徑維持320公里,10級暴風半徑達150公里。各國分析也一致,將樺加沙的風速上調,陣風增強到時速270公里。 《詳全文...》