快訊/今午後10縣市達停班課標準 全台最新風雨預測出爐

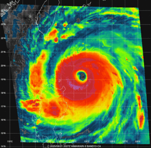
中央氣象署持續發布強烈颱風樺加沙海上陸上警報,今天屏東縣6鄉鎮、台東縣的蘭嶼綠島及花蓮部分地區停班停課,其餘縣市則正常上班上課。根據氣象署今天清晨最新風雨預報資料,預測今天中午12時之後,10縣市風力達停班課標準。 《詳全文...》

中央氣象署持續發布強烈颱風樺加沙海上陸上警報,今天屏東縣6鄉鎮、台東縣的蘭嶼綠島及花蓮部分地區停班停課,其餘縣市則正常上班上課。根據氣象署今天清晨最新風雨預報資料,預測今天中午12時之後,10縣市風力達停班課標準。 《詳全文...》