「風王」樺加沙更強了陸警擴2縣市 13級強風吹台!紫爆豪雨熱區曝

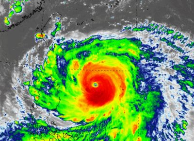
中央氣象署今(21日)晚8時30分持續發布強颱「樺加沙」海上陸上颱風警報,根據最新觀測,樺加沙過去3小時強度誘略為增強,對台東、屏東及恆春半島將構成威脅,陸警範圍從原本的屏東恆春半島擴大包含台東縣,且預估颱風未來強度還有稍微增強趨勢。
《詳全文...》

中央氣象署今(21日)晚8時30分持續發布強颱「樺加沙」海上陸上颱風警報,根據最新觀測,樺加沙過去3小時強度誘略為增強,對台東、屏東及恆春半島將構成威脅,陸警範圍從原本的屏東恆春半島擴大包含台東縣,且預估颱風未來強度還有稍微增強趨勢。 《詳全文...》