今晚變天! 樺加沙「風雨最大」地區曝

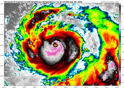
今晚變天,樺加沙挑戰今年「風王」!氣象專家吳德榮表示,周一至周三中度颱風樺加沙通過巴士海峽,大台北、東半部及南部先後有明顯降雨,東半部及南部山區慎防大量降雨致災,南台灣、各地沿海應慎防強風,台灣附近各海面應防狂風巨浪。 《詳全文...》

今晚變天,樺加沙挑戰今年「風王」!氣象專家吳德榮表示,周一至周三中度颱風樺加沙通過巴士海峽,大台北、東半部及南部先後有明顯降雨,東半部及南部山區慎防大量降雨致災,南台灣、各地沿海應慎防強風,台灣附近各海面應防狂風巨浪。 《詳全文...》